Curiosity, Collision, Comeback: Dozer the Dachshund’s Orthopaedic Journey
Pet owners know all too well that it only takes a moment for the unexpected to happen. For Dozer, a three-year-old miniature dachshund with an inquisitive and determined nature, that moment came on what seemed like an ordinary day at work.
Dozer often accompanied his owners to their workplace – a routine he loved. But on this particular day, a visitor left a door accidentally ajar and curious Dozer seized the opportunity and slipped outside unnoticed. Within moments, disaster struck as Dozer was hit by a car.
The event gave everyone that sickening feeling. Remarkably though, despite a considerable impact, Dozer made it back onto his feet to flee the scene. There was instant relief, but everyone was realistic in the knowledge that Dozer may not have got away completely unscathed.
Knowing the impact Dozer had had, and the fact he was instantly clearly sore over his hind limbs, he was rushed to the veterinary clinic. Dozer was incredibly brave. Despite being sore, as to be expected, he tolerated his examination and manipulation of his joints and was able to walk. Importantly he had no signs of any immediate life-threatening injuries and so it was decided to given him pain relief and anti-inflammatory medication and keep him strictly monitored over the next hours and days.
At first, there was cautious optimism. But over the following days, it became clear that Dozer was still extremely uncomfortable. His owners, concerned by the persistence of his pain, brought him back to the practice for further assessment.
On re-examination, it was evident that something more serious was going on. The continuation of his discomfort, despite his pain medication, meant there were concerns his injuries weren’t down to bruising alone. Despite Dozer continuing to be incredibly brave the decision was made to take radiographs.
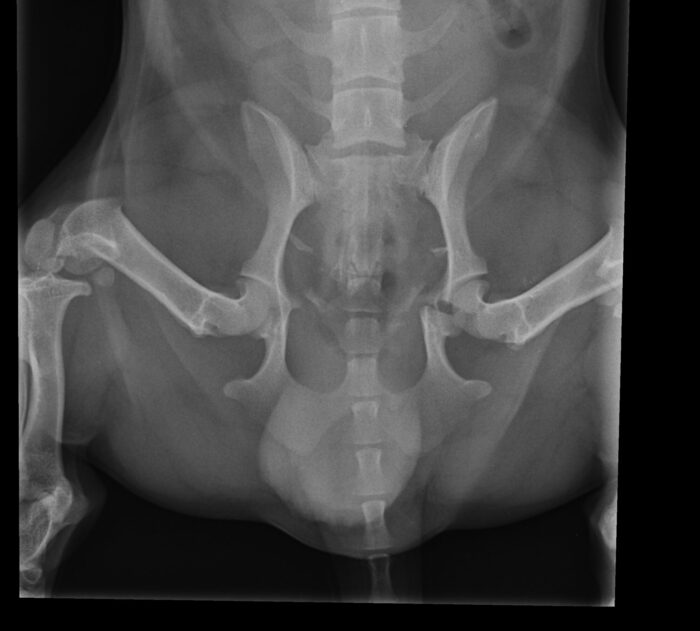
The X-rays revealed the true extent of the injury: a fractured pelvis with a break extending directly through the acetabulum – the socket of the hip joint. It was one of the worst possible configurations of pelvic fracture. Rather than being confined to the flat portions of bone that can sometimes heal with rest, this break ran straight through the joint surface itself.
Fractures involving joints are especially serious. If the joint surface is not restored as close to perfectly as possible, long-term pain, instability and severe arthritis can result. In Dozer’s case, surgery was advised. The goal would be a “perfect” reduction of the fracture to give him the best possible chance of walking comfortably again. However, as with all surgery the procedure was not without significant risks. The sciatic nerve, which runs close to the hip, could potentially be damaged. There was also the possibility that, once visualised directly, the fracture fragments might prove too fragmented or unstable to repair adequately.
After careful discussion, Dozer’s devoted owners elected to proceed with surgery.
As always with pelvic surgery, the procedure was complex and challenging. To gain proper access to the fractured acetabulum, we had to cut and reflect a section of femoral bone with it’s attached gluteal muscle. This step allowed clear visualisation of the break. The sciatic nerve was carefully identified and protected throughout the procedure – a critical part of preventing long-term neurological damage.
Once the fracture site was fully exposed, the bone fragments were meticulously realigned to restore the smooth surface of the joint. A plate and screws were applied to hold everything securely in place. Finally, the top of the femur was pinned back into position, restoring the anatomy of the hip. The surgical wounds were then closed, and Dozer began his recovery.
The weeks that followed required patience, dedication and no small amount of effort from his family. Strict cage rest was essential to allow the repair to stabilise. Short, controlled outings on a lead for toileting were permitted, but otherwise Dozer’s activity was carefully restricted. For an active young dog, this can often be the hardest part of recovery – but his owners were entirely committed.
Six weeks after surgery, follow-up X-rays brought welcome news. The implants remained stable, and the fracture was healing well. The careful reconstruction had held.
Because the fracture passed directly through the joint surface, some degree of arthritis is inevitable in the long term. Trauma to cartilage almost always leads to degenerative changes over time. However, thanks to the accuracy of the repair, there is every hope that this will be manageable. Many dogs with similar injuries, where surgery demonstrates the hip joint surface is still intact enough to repair, go on to live happy, active lives with appropriate pain management and supportive care as they age.
Dozer’s story does not end with surgery though as his owners have continued to go above and beyond in supporting his rehabilitation. He is now attending hydrotherapy sessions, where controlled exercise in water allows him to build muscle strength without placing excessive strain on his healing hip. Hydrotherapy can be an invaluable tool in orthopaedic recovery, improving mobility while protecting delicate repairs and helping patients to rebuild muscle that helps to support their joints.
For pet owners, Dozer’s story is both heartwarming and sobering. Accidents can happen in seconds, even in familiar environments. However, his story is also one of resilience – of a small dog who showed extraordinary bravery, both before and after his orthopaedic surgery, and of his owners whose dedication has given him the very best chance at as full a recovery as is possible.






Author –








